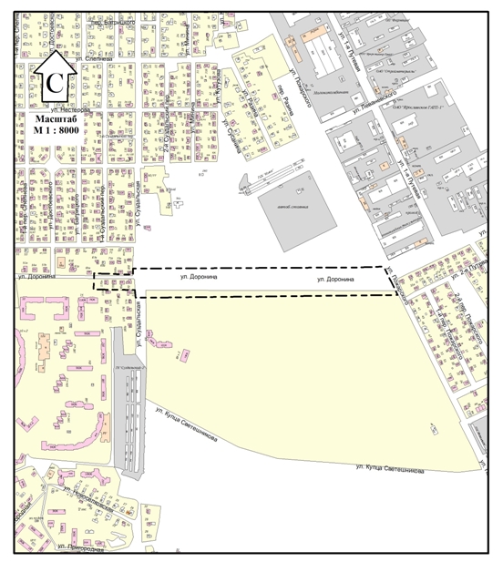
В Ярославле собираются продлить улицу Доронина
В Ярославле собираются продлить улицу Доронина от улицы Суздальской до улицы Пожарского. Соответствующее постановление подписал Первый заместитель мэра Вячеслав Гаврилов.
Прежде всего, должен быть подготовлен проект планировки и проект межевания территории. Магистральная улица будет достигать 850 метров.
